- Rathaus & Bürgerservice
- Aktuelles
- Bürgerservice
- Bauhof
- Bürgerbüro
- Digitales Rathaus
- Friedhöfe
- Fundsachen
- Fundtiere
- Der Start in Ihr Gewerbe – so klappt‘s
- Leistungen von A-Z
- Nachbarschaftsrecht
- Ortsgerichte / Schiedsamt
- Ortslandwirte der Gemeinde Solms
- Rente: Versichertenälteste
- Service für Wohnungslose
- Sprachkurse - Deutsch
- Sprechstunde Jobcenter
- Stadtwald
- Standesamt
- Verwaltungsportal Hessen
- Verwaltungsleistungen in ganz Deutschland finden
- Wertstoffhof
- Verwaltung
- Politik
- Leben & Wohnen
- Freizeit & Tourismus
- Bauen & Wirtschaft
- Stadtwerke
Zweite Offenlage Weidfeldsweg Oberndorf
Bauleitplanung der Stadt Solms, Stadtteil Oberndorf
Bebauungsplan Nr. 13 „Am Weidfeldsweg“ sowie FNP-Änderung in diesem Bereich
Bekanntmachung der Beteiligung der Öffentlichkeit gemäß § 3 Abs.2 BauGB - Entwurfsoffenlage
(1) Die Stadtverordnetenversammlung der Stadt Solms hat am 26.09.2023 gemäß § 3 Abs. 2 BauGB die Entwurfsoffenlage des Bebauungsplanes „Am Weidfeldsweg“ im Stadtteil Oberndorf sowie die Änderung des Flächennutzungsplanes in diesem Bereich beschlossen.
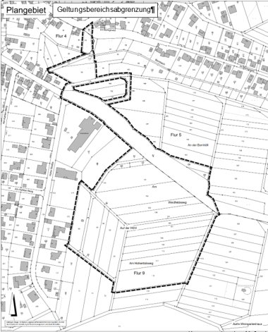
(2) Der Geltungsbereich des Bebauungsplanes und der FNP-Änderung ist der nachfolgenden Übersichtskarte 1 - Teilplan 1/2 zu entnehmen und umfasst folgende Flurstücke in der Gemarkung Oberndorf, Flur 4, Flurstück 84, 85tlw., Flur 5, Flurstücke 90/5tlw., 91, 92/1tlw., 94, 96tlw., 117/1tlw., 118tlw., 184/1, 184/2, 190 und in der Flur 9, Flurstücke 80/1, 81-86, 92/1tlw., 98/2, 99, 100/1, 100/2, 101-112, 115tlw.
In der nachfolgenden Übersichtskarten – Teilplan 2/2 sind die Abgrenzungen der externen Ausgleichsflächen für den natur- und artenschutzrechtlichen Ausgleich ersichtlich. Diese liegen in der Flur 23, Flurstück 9 (Gemarkung Burgsolms, Karte 1), in der Flur 5, Flurstück 156/2 sowie in der Flur 9 die Flurstücke 129tlw., 130, 131, 132tlw., 136tlw. (jeweils in der Gemarkung Oberndorf, Karte 2),
in der Flur 1 die Flurstücke 20/5tlw. und 21/1tlw. (Gemarkung Niederbiel, Karte 3) sowie in der Flur 4 das Flurstück 141/1 (Gemarkung Niederbiel, Karte 4).
In einer weiteren Übersichtsskizze wird die Rücknahme von geplanten Siedlungsflächen nördlich des Weidfeldsweges aufgezeigt.
(3) Planziel des vorliegenden Bebauungsplanes ist die Ausweisung eines Allgemeinen Wohngebietes i.S.d. § 4 Baunutzungsverordnung (BauNVO). Dies wird erforderlich, um der vorhandenen Nachfrage nach Wohnbaugrundstücken im Stadtteil Oberndorf sowie dem gesamten Stadtgebiet gerecht werden zu können. Aus raumordnerischer Sicht kann das Gebiet sowohl dem Eigenbedarf des Stadtteils wie auch der Zuwanderung dienen. Die bisher angedachte Fläche für den Gemeinbedarf zur Erweiterung des Kindertagesstätten-Angebotes wird aufgrund eines Alternativstandortes aus der Planung genommen. Das Wohngebiet wurde aufgrund von rechtlichen Restriktionen deutlich verkleinert. Das unterirdische Regenrückhaltebecken wird um ein weiteres oberirdisches Erd- bzw. Grünbecken erweitert. Insgesamt soll das Gebiet als Energie-Effizienz-Quartier konzipiert werden, in dem neben den textlichen Festsetzungen, u.a. zur Pflicht von Photovoltaikanlagen und Dachbegrünung, z.B. auch Ladesäulen und Carsharing etabliert werden sollen.
Bisher wird das Plangebiet überwiegend landwirtschaftlich durch Grünland und Ackerbau genutzt. Im nordöstlichen Teilbereich befindet sich zudem eine Gehölzgruppe. Das Plangebiet ist dem bauplanungsrechtlichen Außenbereich i.S.d. § 35 BauGB zuzuordnen, weshalb die Planung im zweistufigen Regelverfahren mit Durchführung einer Umweltprüfung gemäß § 2 Abs. 4 BauGB erfolgt. Im Flächennutzungsplan ist eine Teilfläche bereits als Wohnbaufläche Planung dargestellt, die übrige Fläche als Fläche für die Landwirtschaft. Daher wird die Änderung des Flächennutzungsplans im Parallelverfahren im Sinne des § 8 Abs.3 BauGB erforderlich. Im Zuge der FNP-Änderung wird gemäß den Vorgaben der Abweichungsentscheidung auch eine geplante Siedlungsfläche nördlich des Weidfeldweges zurückgenommen.
Die weiteren wesentlichen Änderungen, die aus den Stellungnahmen zur frühzeitigen Beteiligung der TÖB und der Öffentlichkeit gemäß § 3 Abs. 1 BauGB i.V.m. § 4 Abs. 1 BauGB zum Bebauungsplan erfolgt sind, können der Begründung entnommen werden.
(4) Die Aufstellung der o.g. Bauleitplanverfahren erfordert eine Umweltprüfung i.S. des § 2 Abs. 4 BauGB, in der die voraussichtlichen erheblichen Umwelteinwirkungen ermittelt und in einem Umweltbericht beschrieben und bewertet werden. Der Umweltbericht ist gemäß § 2a BauGB in die Begründung des Bebauungsplanes bzw. der FNP-Änderung zu integrieren. Die Unterrichtung nach § 3 Abs.1 BauGB und § 4 Abs.1 BauGB erfolgte gemäß den Vorgaben des Baugesetzbuches (BauGB) und diente im Hinblick auf die Ermittlung des erforderlichen Umfangs und Detaillierungsgrades der Umweltprüfung nach § 2 Abs. 4 BauGB, die jetzt im Umweltbericht dokumentiert und öffentlich ausgelegt wird.
Der Umweltbericht umfasst neben einem einleitenden Kapitel zu den Inhalten, Zielen und Festsetzungen des Bebauungsplanes, der Einordnung des Plangebietes und den in den einschlägigen Fachgesetzen und Fachplänen festgelegten Zielen des Umweltschutzes, eine Beschreibung und Bewertung der voraussichtlichen erheblichen Umweltauswirkungen der Planung einschließlich der Maßnahmen zu ihrer Vermeidung, Verringerung bzw. ihrem Ausgleich.
Die Betrachtung der umweltrelevanten Schutzgüter und Informationen umfasst in § 1 Abs.6 Nr.7a-j BauGB:
• Boden und Wasser: Charakterisierung von Bodentypen und Bodeneigenschaften, Bodenfunktionsbewertung, Bodenentwicklungsprognose, Betroffenheit eines oberirdischen Gewässers, keine Betroffenheit eines Heilquellen- oder Trinkwasserschutzgebietes. Bewertung der Planung im Hinblick auf den Eingriff in den Boden- und Wasserhaushalt.
- Klima und Luft: Beschreibung und Bewertung der Auswirkungen des Plangebietes für die Kalt- und Frischluftbildung sowie für das Lokal- bzw. Kleinklima.
- Tiere und Pflanzen: Bestandsbeschreibung der Biotop- und Nutzungstypen, Darstellung der Ergebnisse aus den Geländekartierungen, Eingriffsbewertung, artenschutzfachliche Bewertung des Plangebietes i.V.m. mit den Ergebnissen des artenschutzrechtlichen Fachbeitrages, Verweise auf gesetzliche Regelungen zum Artenschutz.
- Biologische Vielfalt: Bewertung der Auswirkungen auf die biologische Vielfalt durch das Plangebiet.
- Landschaft: Bewertung der Auswirkungen auf das Landschafts- bzw. Ortsbild.
- Natura-2000-Gebiete: Bewertung der Betroffenheit von Natura-2000-Gebieten - ist nicht gegeben. Auswirkungen auf die Schutzziele der nächstgelegenen Schutzgebiete sind nicht zu erwarten.
- Sonstige Schutzgebiete: Die direkte Betroffenheit von sonstigen Schutzgebieten ist nicht gegeben. Betroffenheit eines geschützten Biotops (Betroffenheit des LRT 6510), sowie Beschreibung von Maßnahmen.
- Mensch, Gesundheit und Bevölkerung: Keine zusätzlichen negativen Auswirkungen des Plangebietes auf die angrenzenden Wohnhäuser und Nutzungen. Beschränkte Erholungsfunktion des Plangebietes.
- Kultur- und sonstige Sachgüter, kulturelles Erbe: Hinweis auf gesetzliche Regelungen zum Umgang mit Bodendenkmälern und Einzelkulturdenkmälern.
Hinzu kommt eine Eingriffs- und Ausgleichsplanung zu dem durch den Bebauungsplan bauplanungsrechtlich vorbereiteten Eingriff in Natur und Landschaft und dessen Ausgleich. Der Eingriff wird über die Zuordnung externer Ausgleichsflächen (siehe Maßnahmen auf Teilplan 1/2 sowie Flächen auf Teilplan 2/2, Karten 1-4) dokumentiert.
Ferner umfasst der Umweltbericht Angaben zu Maßnahmen zur Vermeidung, Verringerung und zum Ausgleich der nachteiligen Auswirkungen der Planung, zur Entwicklung des Umweltzustandes bei Durchführung bzw. Nichtdurchführung der Planung, zu den in Betracht kommenden anderweitigen Planungsmöglichkeiten sowie zur Überwachung der Umweltauswirkungen, die aufgrund des Bauleitplans auftreten können.
Als weitere umweltbezogene Informationen liegen vor:
- Artenschutzrechtlicher Fachbeitrag (Plan Ö, Stand 01/2022, aktualisiert 11/2023):
in Bezug auf Vögel, Fledermäuse, Haselmaus, Reptilien, Tagfalter, Widderchen und Heuschrecken.
Aus der Analyse sind als artenschutzrechtlich besonders zu prüfende Vogelarten Gartenrotschwanz, Goldammer, Grünspecht, Haussperling, Klappergrasmücke und Stieglitz, als artenschutzrechtlich besonders zu prüfende Fledermausarten Bartfledermaus, Breitflügelfledermaus, Großer Abendsegler, Großes Mausohr, Kleiner Abendsegler, Rauhautfledermaus und Zwergfledermaus sowie als artenschutzrechtlich besonders zu prüfende Arten Haselmaus und Zauneidechse hervorgegangen. Dementsprechend sind artenschutzrechtliche Konflikte möglich. Artenschutzrechtlich besonders zu prüfende Tagfalter und Widderchen oder artenschutzrechtlich besonders zu prüfende Heuschrecken wurden nicht festgestellt.
- Geophysikalische Prospektion, 18.02.2022, Geophysik Rhein-Main GmbH, Frankfurt
Aus der Prospektion ging hervor, dass insbesondere im südöstlichen Abschnitt eine Vielzahl von Anomaliefolgen vorhanden sind, die Hinweise auf eine frühere Besiedelung in Form von verfüllten Gruben anzeigen.
- Verkehrsuntersuchung, 16.03.2022, Heinz + Feier GmbH, Wiesbaden
Im Rahmen von Verkehrszählungen an den Knotenpunkten Braunfelser Straße / Wolfsgasse, Wolfsgasse / Weidfeldsweg und Weidfeldsweg / Hohe Straße wurden die heutigen Verkehrsbelastungen in den Spitzenzeiten erhoben. Darauf aufbauend wurden die zukünftigen Verkehrsbelastungen unter Berücksichtigung des zusätzlich zu erwartenden Verkehrsaufkommens durch das geplante Baugebiet „Am Weidfeldsweg“ an den Knotenpunkten abgeschätzt. Der Knotenpunkt Braunfelser Straße / Wolfsgasse ist rechnerisch sowohl im Bestand als auch mit den prognostizierten Belastungen in den Spitzenstunden am Vor- und Nachmittag als leistungsfähig einzustufen.
- Ergänzende Stellungnahme, Heinz + Feier GmbH, 30.10.2023, Wiesbaden
Aufgrund des angepassten Planungskonzeptes (Reduzierung des Wohngebietes) und des Wegfalls der Kitafläche lässt sich festhalten, dass die aus den Berechnungen resultierenden Verkehrsbelastungen im Bereich Weidfelsweg, Wolfsgasse und Braunfelser Straße bei Umsetzung des aktuellen Nutzungskonzeptes geringer ausfallen werden als ursprünglich in der Verkehrsuntersuchung vom 16.03.2022 prognostiziert. Es ist zudem davon auszugehen, dass die berechneten mittleren Wartezeiten am Knotenpunkt Braunfelser Straße / Wolfsgasse in den betrachteten Spitzenstunden am Vor- und Nachmittag niedriger ausfallen werden.
- Energie-Konzept / Projektskizze EAM Energie Plus vom 06.07.2022
- Steckbrief Oberflächennahe Geothermie (EWS), HLNUG, 07.11.2022
Im Rahmen des bisherigen frühzeitigen Beteiligungsverfahren gemäß § 3 Abs. 1 und § 4 Abs. 1 BauGB sind umweltrelevante Stellungnahmen von Behörden und sonstigen Trägern öffentlicher Belange und der Öffentlichkeit eingegangen. Wesentliche Sachverhalte und Verfasser der Stellungnahmen werden zusammenfassend aufgeführt:
• Boden und Wasser: Keine Betroffenheit von Überschwemmungsgebieten oder Hochwasserrisikogebieten, allerdings ist ein Graben (oberirdisches Gewässer) betroffen. Hinweise zur Wasserversorgung und zur Erforderlichkeit von Regenrückhalteeinrichtungen für das anfallende Niederschlagswasser. Kritik und allgemeine Hinweise zum Starkregen sowie zum Umgang mit Niederschlagswasser. Hinweise zur nicht vorhandenen Kapazität des derzeitigen Kanalsystems zum Auffangen der neu aufkommenden Wassermengen. Hinweise zum Schutz des Grundwassers und auf negative Auswirkung auf die Trinkwasserressource. Hinweise auf die allgemeinen bodenschutzrechtlichen Bestimmungen. Hinweise zum Umgang mit Altlasten. Hinweise auf Wertigkeit der landwirtschaftlichen Böden und Verlust von freier Landschaft sowie der örtlichen Agrarstruktur. Hinweise auf Existenzbedrohungen der Landwirte. Allgemeine Hinweise zum sparsamen Umgang mit Boden sowie zum Verlust der landwirtschaftlichen Nutzfläche. Hinweise zur Erforderlichkeit einer Alternativenprüfung und der Betrachtung des Innenbereiches. Allgemeine Hinweise zum vorsorgenden Bodenschutz bezüglich Verdichtung und Erosion. Hinweis auf schutzgutbezogene Kompensation hinsichtlich Bodenfunktionsverlust. Hinweise zur Gefahrenabwehr und Bodenkundlichen Baubegleitung. Lage innerhalb von drei Bergwerksfeldern, eins angezeigt, zwei erloschen sowie auf Erdabbaugebiet. Hinweis auf Inanspruchnahme von landwirtschaftlich genutzten Flächen für Kompensationsmaßnahmen ist zu vermeiden. Hinweise zur erforderlichen Sicherheit und Leichtigkeit des Verkehrs. Betroffenheit von Waldflächen sowie Hinweise zum Umgang mit dieser Thematik. Hinweis auf zu hohen Versieglungsgrad im Plangebiet. Hinweis: Kontrolle der Umsetzung von nachhaltigen Festsetzungen nicht möglich.
(KA des LDK FD Wasser- und Bodenschutz, HessenMobil, Hessen Forst, KA des LDK FD Landwirtschaft und Forsten, Naturschutzverbände Lahn-Dill & Stadt Wetzlar, RP Gießen Obere Landesplanungsbehörde, RP Gießen Grundwasserschutz, RP Gießen Oberirdische Gewässer, RP Gießen Bodenschutz, RP Gießen Bergaufsicht, RP Gießen Landwirtschaft, RP Gießen Obere Forstbehörde, Öffentlichkeit/Bürger).
• Klima und Luft: Betroffenheit eines VRG (Vorranggebiet) bzw. VBG (Vorbehaltsgebiet) Landwirtschaft, VBG für besondere Klimafunktionen, VRG Regionaler Grünzug, Hinweise zum Verlust von Kaltluftentstehung und -abfluss. Hinweise auf Verlust der freien Landschaft. Nachteile für das lokale Klima, Gefahr von Trockenperioden. Erhöhung der Umgebungstemperaturen. Hinweise auf Forderung eines Verkehrsgutachtens (KA des LDK Landwirtschaft und Forsten, Naturschutzverbände Lahn-Dill & Stadt Wetzlar, RP Gießen Obere Landesplanungsbehörde, Öffentlichkeit/Bürger).
• Tiere und Pflanzen: Hinweise auf Eingriff in unberührte Natur und Gebiet für Naherholung, Auswirkungen auf Flora und Fauna, da geschützte Arten betroffen sind (es werden Zauneidechsen, Fledermäuse, Wildkatze, Vogelarten wie Rotmilan und Gartenrotschwanz, Salamander, Schachbrett (Schmetterling), blauflügelige Ödlandschrecke, weitere Insekten- und Schmetterlingsarten, etc. genannt), Hochwassergefahr, Verschlechterung Wohn- und Lebensqualität, Waldabstand wird nicht berücksichtigt, Verlust der Magerwiese (Biotop), Kritik an großflächiger Bodenversiegelung, Frage nach Überprüfung der Kompensationsmaßnahmen, Einschränkung Landschaftsbild und Erholungscharakter, 30 m Waldabstand wird nicht berücksichtigt, Hinweis auf Überplanung eines artenreichen Grünlandes, welches als Lebensraumtyp 6510 einzustufen ist. Hinweis auf fehlende Eingriffs-/Ausgleichsbilanzierung sowie Ausgleichsflächen. Futterknappheit für Tiere und Trockenperioden. Verlust von Lebensraum für Tiere. Mögliche Konflikte mit dem Artenschutz sowie allgemeine Hinweise zum Artenschutz. Hinweise zur aktuellen Nutzung der Flächen und zur Flora (KA des LDK FD Naturschutz, Hessen Forst, Naturschutzverbände Lahn-Dill & Stadt Wetzlar, RP Gießen Obere Forstbehörde, Öffentlichkeit/Bürger).
• Biologische Vielfalt: Eingriff in unberührte Natur und ein Gebiet für die Naherholung, Auswirkungen auf Flora und Fauna, da geschützte Arten betroffen sind (es werden Zauneidechsen, Fledermäuse, Wildkatze, Vogelarten wie Rotmilan und Gartenrotschwanz, Salamander, Schachbrett, blauflügelige Ödlandschrecken, Insekten- und Schmetterlingsarten, etc. genannt) (Naturschutzverbände Lahn-Dill & Stadt Wetzlar, Öffentlichkeit/Bürger).
• Landschaft: Einschränkung des Landschaftsbildes und Erholungscharakter (Naturschutzverbände Lahn-Dill & Stadt Wetzlar, Öffentlichkeit/Bürger).
• Natura-2000-Gebiete und sonstige Schutzgebiete: Hinweis auf Zerstörung von landschaftlich einzigartigen und geschützten Bereichen im Naturpark Taunus (Öffentlichkeit/Bürger).
• Mensch, Gesundheit und Bevölkerung: Keine Hinweise auf Altlasten und Kampfmittel, allgemeine Hinweise zum nachsorgenden Bodenschutz und auf die Entsorgung von Bauabfällen. Allgemeine Hinweise des KA des LDK FD Gefahrenabwehr zu Brandschutz und Löschwasserversorgung. Hinweise auf Sicherheitsgefährdung der Bevölkerung durch erhöhtes Verkehrsaufkommen. Hinweise der Gefahr der Lärmbelästigung und Immissionen durch steigenden Verkehr. Hinweise zum Vorkommen einer Wasserleitung, Telefonleitung sowie Stromversorgungsleitungen innerhalb des Geltungsbereiches. Hinweise auf Forderung eines Verkehrsgutachtens. Hinweise auf Befürchtung der Verwerfungen im sozialen Bereich. Hinweise auf Existenzbedrohungen der Landwirte. (EAM-Netz, Hessen Mobil, KA des LDK FD Gefahrenabwehr, RP Gießen Bodenschutz, RP Gießen Kommunale Abfallwirtschaft, RP Gießen Forstbehörde, Öffentlichkeit/Bürger).
• Kultur- und sonstige Sachgüter, kulturelles Erbe: Mögliche Zerstörung von Bodendenkmälern. Forderung einer geophysikalischen Prospektion (Landesamt für Denkmalpflege, hessen Archäologie).
• Gebiete zur Erhaltung der bestmöglichen Luftqualität: Lärmbelästigung und Immissionen durch steigenden Verkehr. Hinweise zum Verlust von Kaltluftentstehung und -abfluss. Hinweise auf Verlust der freien Landschaft. Nachteile für das lokale Klima, Gefahr von Trockenperioden (Naturschutzverbände Lahn-Dill & Stadt Wetzlar, Öffentlichkeit/Bürger).
Die umweltrelevanten Stellungnahmen werden zusammen mit der Umweltprüfung (Umweltbericht), in der die Aspekte der Kompensation und Regelungen nach Bundesnaturschutzgesetz (BNatSchG) und dem Hess. Naturschutzgesetz (HeNatG) behandelt sind, sowie den weiteren umweltbezogenen Informationen (o.g. Gutachten) ins Internet eingestellt und ergänzend öffentlich ausgelegt.
(5) Gemäß § 3 Abs. 2 BauGB (Beteiligung der Öffentlichkeit) werden der Planentwurf des Bebauungsplanes sowie der Flächennutzungsplanänderung (Plankarten, Begründungen, Umweltbericht) sowie die verschiedenen Fachgutachten (Geophysikalische Prospektion, Verkehrsuntersuchung, erweiterte Stellungnahme zur Verkehrsuntersuchung, Artenschutzrechtlicher Fachbeitrag, Energie-Konzept / Projektskizze EAM Energie Plus und Steckbrief Oberflächennahe Geothermie (EWS) in der Zeit von
15.12.2023 – 09.02.2024 einschl.
im Internet unter der Adresse https://www.solms.de/bauen-wirtschaf/bauen/aktuelle-offenlagen-in-bauleitplanverfahren/aktuelle-offenlagen/ veröffentlicht und können ebenfalls über das zentrale Internetportal des Landes Hessen (https://bauleitplanung.hessen.de/) eingesehen und heruntergeladen werden. Zusätzlich zur Veröffentlichung im Internet erfolgt gemäß § 3 Abs.2 Satz 4 Nr.4 BauGB eine öffentliche Auslegung der oben genannten Unterlagen in der Stadtverwaltung Solms, Oberndorfer Straße 20, 35606 Solms, Bauamt, Zimmer 4, während der Dienststunden der Verwaltung sowie nach Vereinbarung. Jedermann hat während dieses Veröffentlichungszeitraumes die Gelegenheit zur Information sowie zur Abgabe einer Stellungnahme mit Anregungen und Hinweisen (z.B. schriftlich, zu Protokoll oder per Email). Es wird darauf hingewiesen, dass Stellungnahmen elektronisch übermittelt werden sollen, bei Bedarf aber auch auf anderem Weg, zum Beispiel schriftlich, in Textform oder zur Niederschrift, abgegeben werden können. Die elektronische Abgabe der Stellungnahmen ist zum Beispiel unter der E-Mail-Adresse info@fischer-plan.de oder stadtverwaltung@solms.de möglich.
(6) Für die Flächennutzungsplanänderung gilt, dass eine Vereinigung im Sinne des § 4 Abs. 3 Satz 1 Nummer 2 des Umwelt-Rechtsbehelfsgesetzes in einem Rechtsbehelfsverfahren nach § 7 Abs. 2 des Umwelt-Rechtsbehelfsgesetzes gemäß § 7 Abs. 3 Satz 1 des Umwelt-Rechtsbehelfsgesetzes mit allen Einwendungen ausgeschlossen ist, die sie im Rahmen der Auslegungsfrist nicht oder nicht rechtzeitig geltend gemacht hat, aber hätte geltend machen können.
(7) Gemäß § 3 Abs. 2 Satz 4 Nr. 3 BauGB wird darauf hingewiesen, dass nicht fristgerecht abgegebene Stellungnahmen bei der Beschlussfassung über den Bauleitplan unberücksichtigt bleiben können.
(8) Gemäß § 4b BauGB ist das Planungsbüro Fischer aus 35435 Wettenberg mit der Durchführung des Bauleitplanverfahrens beauftragt.
Übersichtskarte 1 – Teilplan 1/2 (Baugebiet mit angrenzenden Ausgleichsflächen und Regenrückhaltebecken).

Karte genordet, ohne Maßstab

Karte genordet, ohne Maßstab
Übersichtskarte (externe Ausgleichsflächen Karte 1-4) – Teilplan 2/2

Karte genordet, ohne Maßstab
Übersichtskarte (Ausgleichsfläche Karte 1) – Teilplan 2/2

Karte genordet, ohne Maßstab
Übersichtskarte (Ausgleichsflächen Karte 2) – Teilplan 2/2

Karte genordet, ohne Maßstab
Übersichtskarte (Ausgleichsfläche Karte 3) – Teilplan 2/2

Karte genordet, ohne Maßstab
Übersichtskarte (Ausgleichsfläche Karte 4) – Teilplan 2/2

Rücknahmefläche Wohnbaufläche in der FNP-Änderung


